Capannone in vendita

Bassano Bresciano, Via Remondina
€ 2.950.000
2 locali 2 locali
4500 Mq 4500 Mq

Capannone in vendita

Bassano Bresciano, Via Remondina

Descrizione annuncio

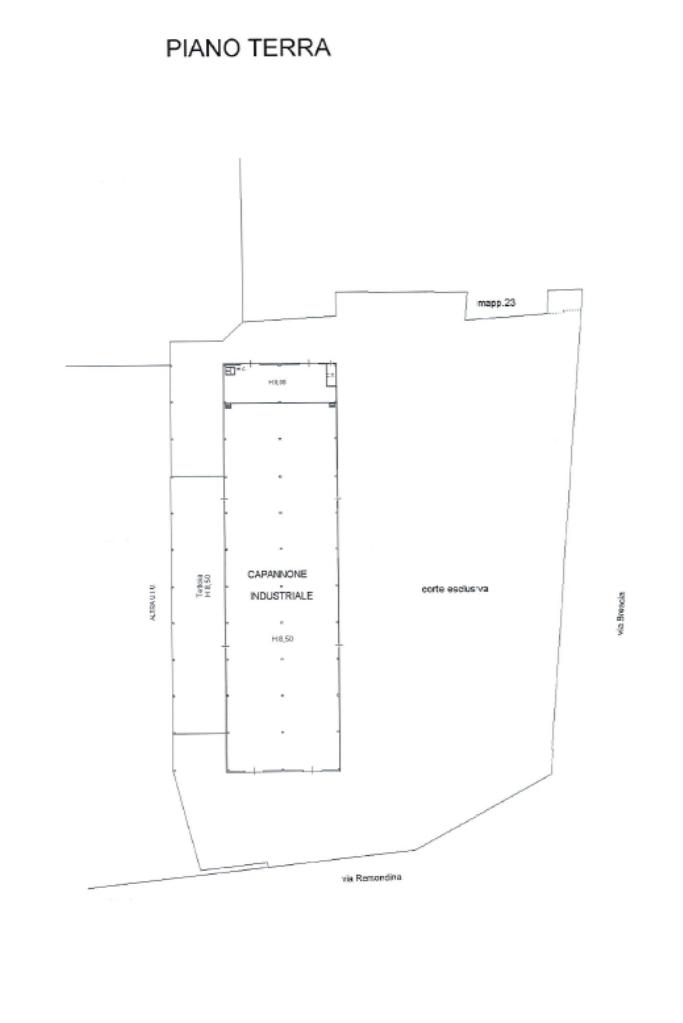
Proponiamo in vendita un capannone industriale ubicato a Bassano Bresciano (BS), precisamente in Via Remondina Snc.

Il fabbricato si estende su una superficie coperta di circa 4.500 mq ed è inserito all'interno di un lotto di terreno avente una superficie complessiva pari a 16.000 mq.

Il capannone è sviluppato in tre campate, di cui una completamente aperta sul fronte e sul retro con metratura pari a 1.000 mq, ideale per operazioni di carico/scarico e lavorazioni all’aperto.

La soluzione presenta un’altezza sotto trave di 10,50 m ed è dotata di quattro carroponti con portata di 20 tonnellate ciascuno: due installati all’interno del corpo principale e due sulla campata esterna aperta. Sono presenti quattro portoni con ampie dimensioni.

L’immobile non è dotato di impianto di riscaldamento né di climatizzazione, risultando quindi particolarmente adatto ad attività produttive pesanti o logistiche che non ne richiedano la presenza e prediligano la fruibilità degli spazi.

L’area esterna, completamente asfaltata, si estende infatti per circa 11.700 mq, garantendo ampi spazi di manovra per mezzi pesanti, stoccaggio o ulteriori lavorazioni.

È inoltre presente una cabina elettrica di proprietà, di recente realizzazione, con potenza disponibile pari a 500 kW.

Completano la proprietà 100 mq di uffici e due accessi carrai indipendenti.

La copertura non presenta amianto.

L’unità immobiliare in oggetto è sita in Bassano Bresciano (BS), Via Remondina SNC ed è posta all’interno di un’area industriale che risulta essere ben collegata alle principali vie di comunicazione. La soluzione è posta nelle immediate vicinanze della Strada Provinciale 45 bis e dista 3,5 km circa dall’ingresso del casello autostradale di Manerbio sull’Autostrada A21 e solamente 7 km da quello di Pontevico.

Mostra tutto

Nelle vicinanze

Scuole Scuole
Scuola media statale Zammarchi
2,5 Km
Scuole elementari
2,9 Km
Centro scolastico polivalente
2,9 Km
Farmacia Farmacia
Farmacia Ospedale dr. Clementu
3,0 Km
Supermercati Supermercati
Conad
770 m
Italmark
2,2 Km
Negozi Negozi
Forneria Brognoli
2,4 Km
Punto Simply
2,9 Km
Bar Bar
Kitsune
2,0 Km
Bar Mantovani
2,9 Km
Metamorfosi Disco bar
3,0 Km
Ristoranti Ristoranti
De Gustibus
2,5 Km
Regina Major
2,8 Km
Mostra tutto

Caratteristiche

Rif.:
61107045
Piano:
1 di 1 (Piano terra)
Posti auto:
10
Condizionamento:
Assente
Ascensore:
No
Riscaldamento:
Assente
Mostra tutto
Prezzo Prezzo
€ 2.950.000
Rata mutuo Rata mutuo
€ 13.515 / mese
Spese annue Spese annue
€ 0
Proponi il tuo prezzoProponi il tuo prezzo

Altre caratteristiche

Classe Energetica

Questo immobile è esente da classe energetica
Anno di costruzione:
1990
Riscaldamento:
Assente

Ti interessa visionare l'immobile?

Fissa un appuntamento  Fissa un appuntamento

Richiedi informazioni

* Questi campi sono obbligatori

Calcola il tuo mutuo

Semplice e senza impegno
Anticipo

( % )
Mutuo

( % )

pochi semplici passi

inserisci i tuoi dati
Questionario completato
Grazie per aver richiesto un appuntamento senza impegno con un nostro Consulente del Credito e Assicurativo.

Hai inserito correttamente tutti i dati necessari e a breve riceverai una e-mail con un link da convalidare per inviare i tuoi dati.
Affiliato
Studio Industriale Srl
Via Leno, 2 25025 Manerbio (BS)

Il nostro staff


  • Francesca Lanzini
    Affiliata

  • Claudio Valecci
    Affiliato

  • Alex Bertani
    Collaboratore

  • Omar Kellici
    Collaboratore

  • Elisa Migliorati
    Coordinatrice

  • Michela Scolari
    Coordinatrice
Via Leno, 2 25025 Manerbio (BS)
Zona: Manerbio - Leno - Ghedi - Verolanuova - Bassa Bresciana
Mostra su mappa
Orari: dal lunedì al venerdì dalle 8:30 alle 12:30 e dalle 14:30 alle 19:30;sabato dalle 8:30 alle 12:30 - sabato pomeriggio e domenica su appuntamento.
Affiliato
Studio Industriale Srl
Via Leno, 2 25025 Manerbio (BS)

2025 Tecnocasa Franchising S.p.A. - P. IVA 08365160152 - Via Monte Bianco 60/A 20089 Rozzano (MI). Ogni agenzia ha un proprio titolare ed è autonoma. Privacy policy | Policy utilizzo | Cookie policy